文件包含漏洞_allow_url_fopen和allow_url_include详解
提要:在文件包含漏洞中,PHP脚本环境中php.ini文件中通常会涉及到这两个参数,两个参数的开启或关闭影响文件包含漏洞的利用。
1,参数简介:
allow_url_fopen参数(只影响RFI,不影响LFI)
简介:是否允许将URL(HTTP,HTTPS等)作为文件打开处理
allow_url_include参数(只影响RFI,不影响LFI)
简介:是否允许includeI()和require()函数包含URL(HTTP,HTTPS)作为文件处理
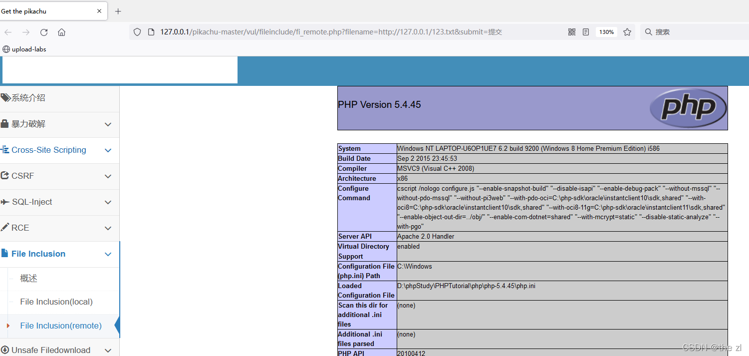
2,验证:
本地创建文件内容为<?php phpinfo?>的文件123.txt,
当allow_url_fopen=Off和allow_url_include=Off或allow_url_fopen=Off和allow_url_include=On时,文件包含失败:

当allow_url_fopen=On和allow_url_include=On时,include等其他包含函数才会将URL代表的文件包含执行,文件包含成功:

3,总结:
只有当allow_url_fopen=On和allow_url_include=On时,include等其他包含函数才会将URL代表的文件包含执行
参考文章
allow_url_fopen 和 allow_url_include
allow_url_include和allow_url_fopen 详解

发表评论 取消回复